China’s Weather Warnings Get a High-Tech Upgrade
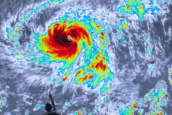
The WMO points to China’s high-tech, data-driven weather warning systems as a model for rapid emergency response, highlighting how innovation is protecting communities.
๐NewspaperAmigo โ Your Global News Buddy ๐๏ธ
Timely Reports, Friendly Voices โ Your Daily News Amigo
The WMO points to China’s high-tech, data-driven weather warning systems as a model for rapid emergency response, highlighting how innovation is protecting communities.
A powerful 7.7 magnitude earthquake struck Japan, triggering tsunami waves and mass evacuations. Nuclear plants report no abnormalities. #BreakingNews
Heavy rains in Angola have killed 15 people, displaced thousands, and caused severe infrastructure damage. Emergency teams are mobilizing relief efforts.
Afghanistan faces escalating flood crisis with 99 dead, thousands displaced, and new warnings issued. Rescue efforts intensify amid ongoing rainfall.
Indonesia issues tsunami warning after 7.6 magnitude quake strikes Molucca Sea, with coastal regions across Southeast Asia on high alert.
Kenya faces a growing crisis as floods claim 110 lives, with heavy rains continuing to disrupt communities. Authorities urge international support.
Flash floods in Yemen’s Taiz Governorate leave 15 dead and 9 missing, with heavy rains causing widespread destruction. Rescue efforts ongoing.
Hawaii faces its worst flooding since 2006, with emergency rescues and climate warnings as torrential rains submerge islands during peak tourist season.
Kenya deploys emergency teams as heavy rains approach, with 73 lives lost. Stay updated on rescue efforts and safety measures. ๐โ๏ธ #KenyaFloods
A devastating landslide in southern Ethiopia’s Gamo Zone has killed 107 people, with thousands displaced. Prime Minister Abiy Ahmed pledges support amid ongoing risks. ๐๐