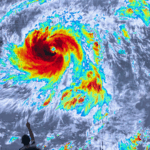
Typhoon Fung-wong has rapidly intensified into a super typhoon as it barrels toward the Philippines, sparking urgent warnings from meteorologists. With wind speeds hitting 185 kph (115 mph) and gusts up to 230 kph, this storm is no joke—imagine winds faster than a Formula 1 race car! 🏎️💨
The Philippine weather service confirmed the typhoon’s upgrade Sunday, noting its massive size—nearly covering the entire archipelago. Residents are bracing for impact as Fung-wong follows close behind another recent storm that left destruction in its wake. 🌧️🌀
Authorities urge coastal communities to evacuate immediately and stock emergency supplies. Social media is buzzing with #Fungwong updates, as travelers and locals share real-time footage of crashing waves and boarded-up shops. Stay safe out there, folks! 🙏
Reference(s):
Fung-wong now super typhoon as it nears Philippines: weather service
cgtn.com




